A Welt immobiliare nagyon előnyös ajánlatot ad! (5 euró/nm 2 db bútorozott kabinnal és benne van az árban!!!)
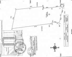
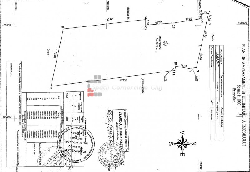
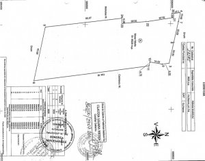
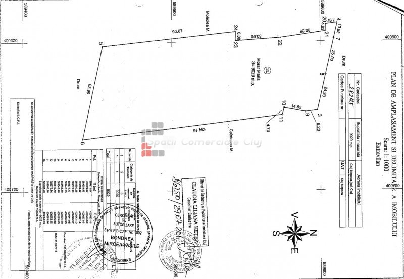
A Spatii Comerciale Cluj közvetít egy 2676 m² összterületű telek eladását, amely Chinteni falu beépített terü...
Olyan helyet keresel, ahova elhúzódhatsz egy munkanap után? Békét, magánéletet és ugyanakkor minden feltételt s...
Eladó egy 1975 négyzetméteres telek, nagyon közel a Roata étteremhez. A telek besorolása AAPP, közterület...
Szeretnéd szomszédnak az erdőt? A Spatii Comerciale Cluj 661 négyzetméter földterület megvásárlásának ...
» Hasonló ajánlatok Telek eladó on Cluj-napoca, Zóna Someseni