A Spatii Comerciale Cluj felhívja a figyelmét egy városhatáron belüli telek megvásárlásának lehetőségére, am...
Eladásra kínálunk városi telket Feleacuban központi övezetben, nagyon jó megközelíthetőséggel, aszfaltozott ...
Eladó telek a Sopor kerületben, Kolozsváron. Területe 1800 négyzetméter, homlokzata 30 négyzetméter.
Eladó telket mutatunk be az Iris szomszédságában, az Oasului utca környékén. Lakóövezetben található, ...
Érdekel a fejlesztés a nagyvárosban? A Spatii Comerciale Cluj felhívja az Ön figyelmét arra a lehetőségre...
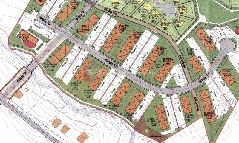
A Spatii Comerciale Cluj felhívja a figyelmet arra, hogy 11 200 négyzetméternyi földterületet vásárolhat a Tetaro...
» Hasonló ajánlatok Telek eladó on Cluj-napoca, Zóna Iris