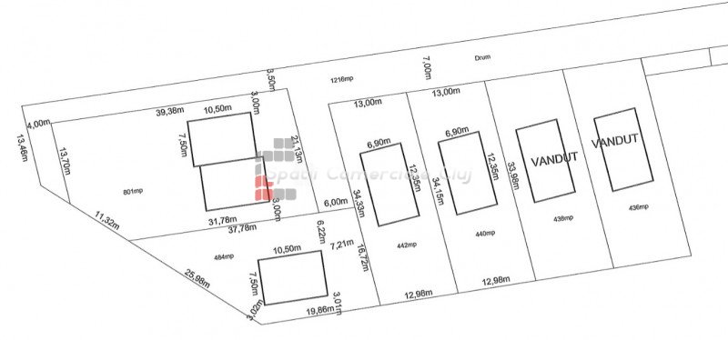
A Spatii Comerciale Cluj felhívja a figyelmet egy 11 600 négyzetméter összterületű, a földútig 28 m homlokzattal...
A Spatii Comerciale Cluj építési engedéllyel rendelkező telket kínál Önnek egyéni házhoz Aiton városában, mi...
Legyen egy lépéssel a város terjeszkedése előtt és szerezzen egy telket, amely jó befektetés lehet! A Spa...
!! Ár áthelyezése!! Befektetés potenciállal! Bemutatunk Önnek egy 2250 nm-es városon kívüli telket, mel...
Könnyen megközelíthető telket keres egy teljes beépítésű területen, ahová visszavonulhat egy mozgalmas nap ut...
Kínálunk egy telket Ciurilában, az iskola közelében. A város határain belül van és be van írva. ...
» Hasonló ajánlatok Telek eladó on Cluj-napoca