
Utilitati generale: Electricitate, Curent trifazic, Apa, Gaz, Canalizare
Sistem de incalzire: Centrala termica
Finisaje:Izolatii termice (Bloc izolat termic), Ferestre cu geam termopan (PVC), Iluminat (Spoturi, Exterior cladire, Lumina naturala)
Dotari: Contorizare (Apometre, Contor gaz)
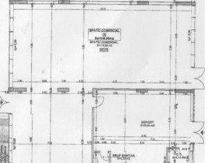
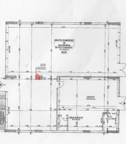
Spatiu comercial, zona Clujana cu SU 246 mp. Compartimentarea tip open space, cu depozit de 59mp si grup sanitar. Are vitrina mare la strada si in spate. Este dotat cu toate utilitatile (apa, gaz, canalizare si curent trifazic). Pentru detalii si vizionari va stau la dispozitie.